Utrudnienia na Norwida

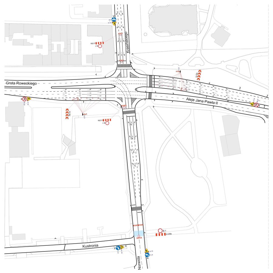
Dodano 10 stycznia 2024 Wodociągi Leszczyńskie zawiadamiają, że dnia 11.01.2024 r. od godz. 4:00 do godz. 22.00, ze względu na zakres awarii wodociągowej, nastąpi wyłączenie z ruchu drogowego ul. Cypriana Kamila Norwida w Lesznie na odcinku od al. Jana Pawła II do ul. Kustronia.

Powyższe spowodowane jest koniecznością wykonania niezbędnych prac związanych z awarią magistrali wodociągowej.

Za zakłócenia w ruchu drogowym Wodociągi Leszczyńskie przepraszają odbiorców.

W przypadku pytań, prosimy o kontakt z Wodociągami Leszczyńskimi pod numerami telefonów: 994 lub 65 529-83-38

Prace wykonywać będzie firma Wodociągi Leszczyńskie, ul. Lipowa 76a, 64-100 Leszno

Pliki do pobrania